Przychodnia weterynaryjna LOVET

Diagnostyka obrazowa Wrocław

W Przychodni LOVET oferujemy szeroki zakres badań dodatkowych, które pomagają w diagnostyce różnych schorzeń. Szczególnie istotne są ultrasonografia (USG) i rentgenografia (RTG), cechujące się nieinwazyjnym charakterem oraz szerokim zastosowaniem w medycynie weterynaryjnej. Dzięki diagnostyce obrazowej możliwe jest szybkie i precyzyjne wykrywanie problemów zdrowotnych, co pozwala na skuteczne leczenie pacjentów.

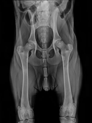
Zastosowanie rentgenografii w diagnostyce

Zdjęcia rentgenowskie stanowią niezwykle wartościowe narzędzie w diagnozowaniu wielu chorób. Wykorzystywane są przede wszystkim w przypadku problemów ortopedycznych (głownie związanych z kończynami piersiowymi, miednicznymi czy kręgosłupem). Rentgenografia pozwala również na wykrywanie ciał obcych, kamicy oraz zaczopowań w układzie pokarmowym i moczowym. Ponadto, jest to niezbędna metoda w diagnostyce chorób układu oddechowego, obejmujących szyję i klatkę piersiową. Współczesna medycyna korzysta z radiografii cyfrowej bezpośredniej (DR), która wymaga mniejszej ilości powtórzeń zdjęć. Dzięki temu pacjent jest wystawiony na niższą dawkę promieniowania, co przekłada się na większe bezpieczeństwo badania. Detektory DR charakteryzują się podwyższoną czułością, co pozwala na zastosowanie o około 30% mniejszej dawki promieniowania niż w przypadku tradycyjnej kliszy RTG.
IMG x
VARIN_0

Radiografia cyfrowa bezpośrednia

Radiografia cyfrowa bezpośrednia (DR) to nowoczesna technologia umożliwiająca uzyskanie wysokiej jakości obrazów rentgenowskich. W porównaniu do tradycyjnej kliszy RTG DR wykazuje szereg zalet, m. in. takich jak szybkość przetwarzania obrazu czy możliwość jego poprawy za pomocą oprogramowania. Dzięki temu można uniknąć konieczności powtarzania zdjęć, co przekłada się na mniejszą ekspozycję pacjenta na promieniowanie. Proces poprawy obrazu za pomocą oprogramowania pozwala na wyeliminowanie niedoskonałości wynikających z prześwietlenia lub niedoświetlenia zdjęcia. Detektory DR są bardziej czułe niż tradycyjne klisze, co umożliwia redukcję dawki promieniowania o około 30%. To istotne z punktu widzenia bezpieczeństwa zarówno pacjentów, jak i personelu medycznego.

Ultrasonografia w diagnostyce

Ultrasonografia jako metoda diagnostyczna pozwala na szczegółowe badanie i obrazowanie tkanek oraz narządów wewnętrznych. Wykorzystuje ultradźwięki, które są nieinwazyjne i bezpieczne dla pacjentów. W porównaniu z innymi metodami obrazowania, takimi jak rentgenografia, ultrasonografia jest bardziej precyzyjna i pozwala na wykrywanie nawet niewielkich zmian w badanych strukturach.

W Przychodni LOVET stosujemy tę metodę w celu diagnozowania różnorodnych schorzeń, zarówno ostrych, jak i przewlekłych. Jest to nieocenione narzędzie w przypadku podejrzenia chorób narządów jamy brzusznej, układu moczowego czy serca. Zajmujemy się także diagnostyką laboratoryjną. Zachęcamy do zapoznania się ze szczegółami oferty.

usg pies
  Informacja o wpływie prowadzonej działalności na zdrowie ludzi oraz środowisko. Podstawa prawna: Ustawa Prawo Atomowe / Dz.U. 2021  poz. 623/  Data 07.01.2025. W jednostce występują następujące urządzenia wytwarzające promieniowanie jonizujące: aparat Gierth HFX 90 V produkcji GIERTH XRAY International GmbH,  jedna sztuka, -aparat YLR2VET produkcji Shenzhen Youlan Medical Technology Co.,  jedna sztuka.  Jednostka posiada zezwolenie na uruchomienie Pracowni RTG – z dwoma aparatami – Zezwolenie NR  D24018 z dn.  12 września 2024r.    Przychodnia do diagnostyki zwierząt wykorzystuje m.in. urządzenia wytwarzające promieniowanie jonizujące  -zdjęciowe aparaty rentgenowskie . Pracownia rentgenowska, w której to urządzenia są stosowane, została uruchomiona na podstawie zezwolenia wydanego przez Prezesa Państwowej Agencji Atomistyki. Przychodnia kontroluje narażenie pracowników oraz osób postronnych w oparciu o indywidualną i środowiskową dozymetrię prowadzoną przez akredytowane laboratorium. Pracownicy przychodni zostali przeszkoleni w zakresie ochrony radiologicznej przez uprawnionego inspektora ochrony radiologicznej z firmy RADIOVET – radiovet.pl Właściwie zabezpieczone ściany oraz stropy pracowni, przyjęte metody pracy, wdrożone procesy i procedury, jak również regularne odczyty dawek gwarantują, że działalność w warunkach narażenia na promieniowanie jonizujące prowadzona przez przychodnię nie ma negatywnego wpływu na zdrowie ludzi oraz środowisko. Uwaga: -na podstawie zmierzonych i obliczonych dawek stwierdza się, że działalność w minionych 12 miesiącach nie miała negatywnego wpływu na zdrowie ludzi i środowisko. -pracownia RTG nie uwalnia do środowiska substancji promieniotwórczych.